Cyclone Mondha is moving slowly. expected to cross Andhra Pradesh coast tomorrow evening  
இந்தியா

மெதுவாக நகரும் “மோந்தா”: வட தமிழகத்தில் மழை,ஆந்திராவில் உஷார்நிலை

மோந்தா புயல், மெதுவாக நகர்ந்து வருகிறது. இது நாளை மாலை ஆந்திராவில் கரையை கடக்க இருக்கிறது.

Kannan

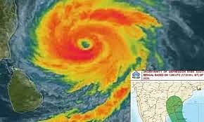
வங்கக் கடலில் மோந்தா புயல்

தென்மேற்கு வங்கக் கடலில் நிலை கொண்டு இருக்கும் மோந்தா புயல், தீவிர புயலாகும் என்று கணிக்கப்பட்டுகிறது. மணிக்கு ஆறு கிலோ மீட்டர் வேகத்தில் நகர்ந்து வருகிறது. சென்னையில் இருந்து 800 கிலோ மீட்டர் தூரத்தில் புயல் மையம் கொண்டிருக்கிறது. இது மெதுவாக நகர்ந்து, ஆந்திர மாநிலம் காகிநாடா அருகே நாளை மாலை கரையை கடக்கும் என்று வானிலை மையம் கணித்துள்ளது.

வட தமிழகத்தில் தொடரும் மழை

தமிழகத்திற்கு புயல் பாதிப்பு இல்லை என்றாலும், வட தமிழக கடலோர மாவட்டங்களில் மழை தொடர்ந்து பெய்து வருகிறது. இன்றிரவு மழை தீவிரம் அடையும் எனத் தெரிகிறது. ஏற்கனவே, ஏரிகள், நீர்நிலைகள் நிரம்பி உபரி நீர் சென்று கொண்டிருக்கிறது. தொடர்ந்து மழை பெய்தால் எதிர்கொள்ள வேண்டிய முன்னெச்சரிக்கை நடவடிக்கைகள் தமிழகத்தில் எடுக்கப்பட்டு வருகின்றன.

ஆந்திராவில் முன்னெச்சரிக்கை

ஆந்திர மாநிலம் காகிநாடா அருகே மோந்தா புயல் கரையை கடக்க இருப்பதால், முன்னெச்சரிக்கை நடவடிக்கைகள் எடுக்கப்பட்டு வருகின்றனர். கடற்கரை அருகே வசிப்போர் பாதுகாப்பான இடங்களுக்கு அனுப்பி வைக்கப்படுகின்றனர். புயல் மழையின்போது மின்சாரம், தொலைத்தொடர்பு, குடிநீர் விநியோகத்தை உறுதி செய்ய அதிகாரிகள் நடவடிக்கை எடுத்து வருகின்றனர். ஏரி, குளம், கால்வாய்களில் உடைப்பு ஏற்படாமல் தடுக்க முன்னேற்பாடுகள் செய்யப்பட்டுள்ளன.

மீனவர்கள் கரை திரும்ப உத்தரவு

கடலுக்கு சென்ற மீனவர்கள் உடனடியாக கரைக்கு திரும்ப உத்தரவிடப்பட்டுள்ளது. ஸ்ரீகாகுளம், கிழக்கு கோதாவரி, மேற்கு கோதாவரி, காக்கிநாடா, நெல்லூர், திருப்பதி, சித்தூர், பிரகாசம் உள்ளிட்ட பல்வேறு மாவட்டங்களில் புயல் நிவாரண பணிகளை மேற்கொள்ள ஐஏஎஸ் அதிகாரிகள் நியமனம் செய்யப்பட்டு உள்ளனர்.

ஒடிசாவில் புயல் முன்னெச்சரிக்கை

ஒடிசா மாநிலத்தில் 30 மாவட்டங்கள் உள்ளன. மோந்தா புயல் காரணமாக இந்த மாவட்டங்களில் உஷார் நிலை அமல் செய்யப்பட்டு இருக்கிறது. மால்கன்கிரி, கோரபுட், ராயகடா, கஜபதி, கஞ்சம் உள்ளிட்ட7 மாவட்டங்களில் கனமழை முதல் அதி கனமழை பெய்யக்கூடும் என்று வானிலை மையம் எச்சரிக்கை விடுத்துள்ளது. இந்த மாவட்டங்களில் அரசு ஊழியர்களின் விடுப்பு ரத்து செய்யப்பட்டுள்ளது.

தயார் நிலையில் ராணுவம்

இந்திய ராணுவம் வெளியிட்டு இருக்கும் அறிக்கையில், “மோந்தா புயலின் பாதையைமிகவும் தீவிரமாக கண்காணித்து வருகிறோம். தேசிய பேரிடர் மேலாண்மை ஆணையம் மற்றும் சம்பந்தப்பட்ட மாநில அரசுகளுடன் இணைந்து ராணுவ வீரர்கள் மீட்புப் பணிகளை மேற்கொள்வார்கள்" என்று தெரிவிக்கப்பட்டு உள்ளது. தேசிய பேரிடர் மீட்புப் படை மற்றும் ஆந்திரா, ஒடிசா, தமிழகத்தை சேர்ந்த பேரிடர் மீட்புப் படைகளும் தயார் நிலையில் உள்ளன.

===========